
$62,400
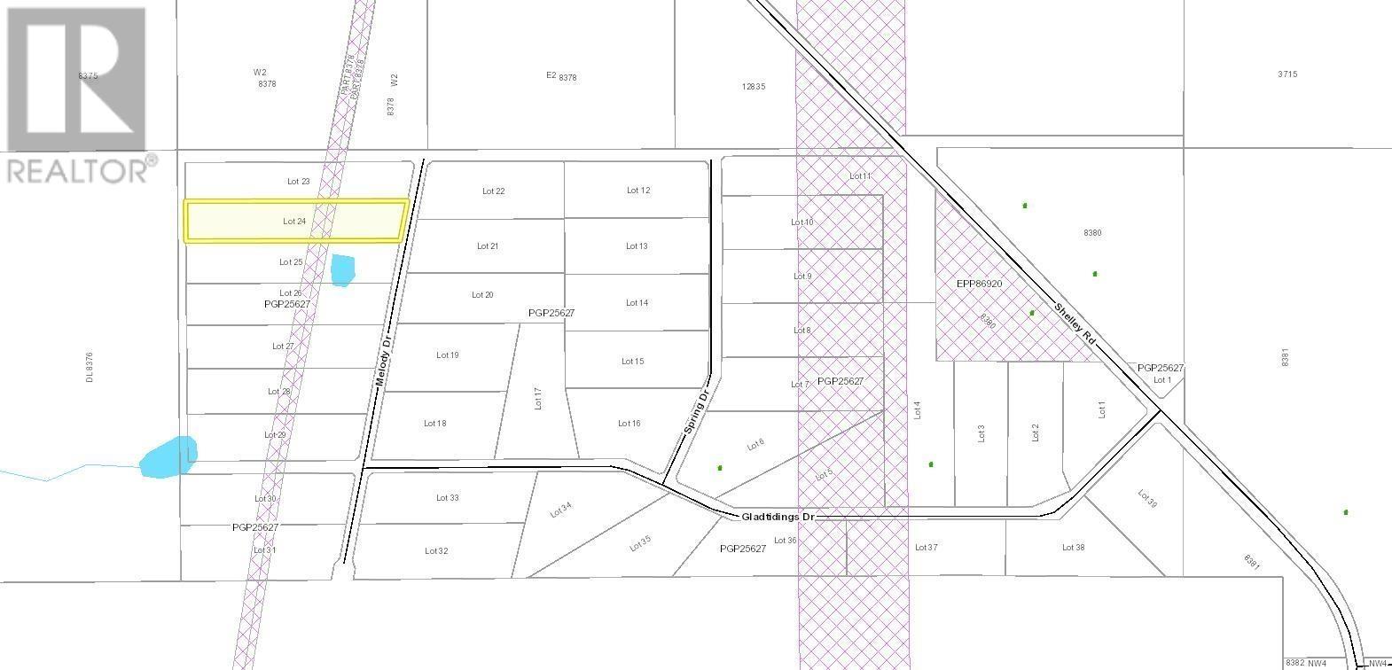
LOT 24 MELODY DRIVE
Prince George, British Columbia V2K5G1
Listed by RE/MAX Core Realty
Listing data deemed reliable but not guaranteed accurate. Beds, baths, square footage, taxes, and fees are provided by the listing brokerage via BCNREB — confirm with Jason before relying on any figure.
Property tax
$472.87/yr
2024 assessment · $39/mo
About this home
Just over 5 acres ready for development. Shared wells with hydro and gas nearby. Only 15 minutes from downtown Prince George and has many key recreation locations nearby - golfing in the summer, skiing in the winter. Peaceful, rural setting. Mobile Homes welcome in this subdivision. Buyer to connect to the well at their own expense and satisfy themselves. Other lots also available in this subdivision. Lot measurements are approximate, Buyer to verify if deemed important. (id:65436)
Features
Exterior & Lot
- Lot size
- 5.34
Systems
- Water
- Drilled Well
Estimator
Mortgage calculator
Canadian compounding. Not a quote — numbers move with your actual rate and insurance costs.
Est. monthly
$369
- Principal
- $56,160
- Mortgage P&I
- $330/mo
- Property tax
- $39/mo
- Yr-1 interest (~)
- $2,864
Estimates only. Excludes CMHC default insurance, closing costs, and utilities. Your actual payment depends on the rate you qualify for, the lender, and insurance requirements.
Property details
- MLS® Number
- R2952988
- Property Type
- Subtype
- Vacant Land
- Days on market
- N/A
- Last updated
- April 23, 2026
- Listed by
Location
Loading map…
LOT 24 MELODY DRIVE, Prince George

About this neighbourhood
Want the unvarnished version? Jason has lived and worked Prince George real estate for over 20 years — he can tell you what the commute's actually like, where the snow piles up, and what comparable homes have sold for in the last 60 days.
Listing broker: RE/MAX Core Realty | MLS® Number: R2952988
Powered by REALTOR.ca®© 2026 BC Northern Real Estate Board (BCNREB)
Listing information deemed reliable but not guaranteed accurate by BCNREB. NOTE: This representation is based in whole or in part on data generated by the Chilliwack & District Real Estate Board, Fraser Valley Real Estate Board or Real Estate Board of Greater Vancouver which assume no responsibility for its accuracy.
Interested in this property?
Book a showing or ask Jason anything — usually back within the hour.
(250) 301-9960Send a messagejasonlukehomes@gmail.comJason Luke · RE/MAX Core Realty